Vendesi mura Centro Commerciale Centro Torri
Proponiamo in vendita locale commerciale a reddito situato all’interno del…
370.000€
Centro storico, Parma (PR) 034027, Emilia-Romagna, Italia
In Vendita
160.000€
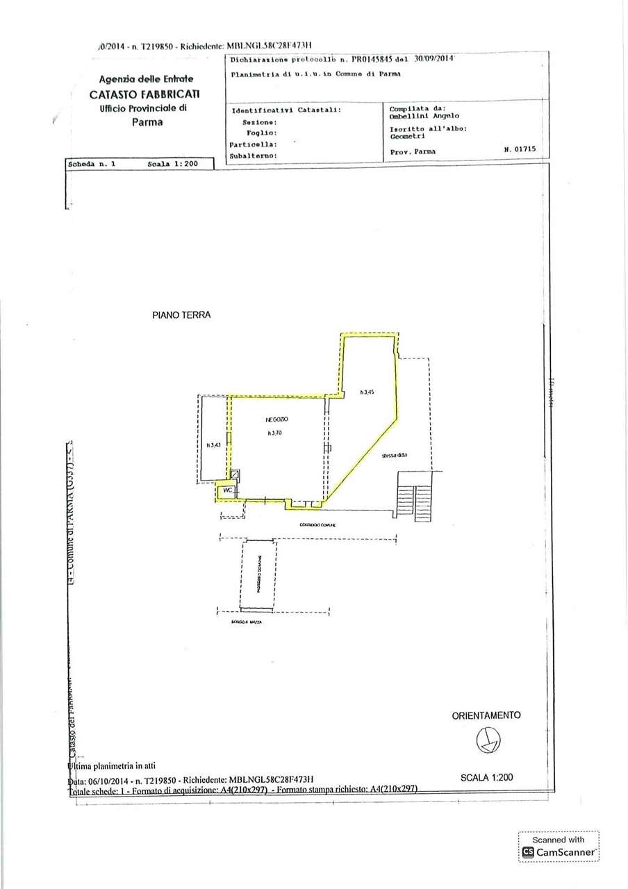
Via Cavour interna, pieno centro storico, vendesi negozio openspace di categoria catastale C/1 con bagno dedicato, posizionato all’interno dello stabile in zona di passaggio, ubicato al piano terreno di un condominio signorile degli anni 70 dotato di ascensore nuovo e servizio di portierato. Presente una recente porta d’ingresso a vetrate blindata, impianto di allarme, riscaldamento a pavimento.
Le destinazioni d’uso consentite riguardano attività commerciali e di servizi al pubblico, negozio, spazi espositivi, studi professionali o altro purchè vi siano le condizioni necessarie considerando che attualmente il rapporto illuminometrico è inferiore a 1/8.
Si valuta eventualmente anche la locazione a € 1.000/mese. Ape in fase di rilascio.
PER QUESTO RIFERIMENTO, VISTE LE NUMEROSE E-MAIL CHE CI PERVENGONO GIORNALMENTE, PER POTERVI DARE IL MIGLIOR E PIU’ CELERE SERVIZIO, VI CHIEDIAMO CORTESEMENTE DI CONTATTARCI TELEFONICAMENTE DIRETTAMENTE IL SIG. DE MARCHI MASSIMILIANO AL 348.5660940 oppure mandare un messaggio WhatsApp al 0521.242857.
Le caratteristiche tecniche e gli accessori indicati potrebbero in alcuni casi differire dall’effettivo stato dell’immobile. A causa delle difformità dei dati pubblicati dai vari portali, Immobiliare Duca Alessandro Srl, declina ogni responsabilità per eventuali involontarie incongruenze, che non rappresentano in ogni caso un impegno contrattuale.
Proponiamo in vendita locale commerciale a reddito situato all’interno del…
370.000€
Cittadella – A due passi dal Parco, in stabile ubicato…
235.000€